Phiên đấu giá đất tại Thư Lâm trong quý 2 năm 2026 đang trở thành tâm điểm của thị trường bất động sản khu vực Bắc Hà Nội. Bài viết này cung cấp cái nhìn toàn diện, từ bối cảnh pháp lý, quy trình tham gia, phân tích khung giá, đến chiến lược đầu tư và quản trị rủi ro dành cho nhà đầu tư cá nhân và tổ chức. Nội dung được tối ưu cho từ khóa đấu giá Q2/2026 và phân tích chi tiết về Đông Anh khung giá 40tr/m², giúp bạn có cơ sở ra quyết định đầu tư chính xác, chuyên nghiệp và phù hợp với môi trường pháp lý hiện hành.

Mở đầu: Vì sao phiên đấu giá Q2/2026 Thư Lâm đáng chú ý?
- Thư Lâm là khu vực nằm trong quy hoạch phát triển hạ tầng của vùng ven Hà Nội, nhận được nhiều nguồn lực đầu tư giao thông và kết nối đô thị trong thời gian gần đây.
- Thị trường đất nền xung quanh Đông Anh có tính thanh khoản cao, đặc biệt ở những trục kết nối ra sân bay, các tuyến đường mới và dự án hạ tầng cấp vùng.
- Phiên đấu giá Q2/2026 được tổ chức chính thức, với hồ sơ, khung giá và các điều kiện đấu giá rõ ràng — tạo môi trường minh bạch cho nhà đầu tư.
Mục tiêu bài viết: cung cấp hướng dẫn tham gia đấu giá, diễn giải ý nghĩa của Đông Anh khung giá 40tr/m², đưa ra phương án định giá, đánh giá lợi ích – rủi ro và chiến lược tối ưu hoá lợi nhuận cho cả nhà đầu tư ngắn hạn và dài hạn.
Tổng quan khu vực Thư Lâm và bối cảnh thị trường
Thư Lâm nằm trong khu vực phát triển mạnh của huyện Đông Anh, hưởng lợi từ chuỗi hạ tầng giao thông và xu hướng giãn dân ra vùng ven thủ đô. Những yếu tố quyết định hấp dẫn nhà đầu tư:
- Kết nối giao thông: hệ thống đường trục, cầu vượt, kết nối đến trung tâm Hà Nội và sân bay.
- Quy hoạch đô thị: các dự án đô thị hoá, khu dân cư mới và các khu công nghiệp lân cận tạo nhu cầu về nhà ở.
- Chính sách quản lý đất đai: đấu giá quyền sử dụng đất theo quy định tạo nguồn đất sạch, minh bạch và hạn chế rủi ro pháp lý so với chuyển nhượng ngang.
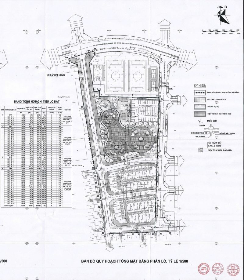
Để hình dung thực tế về các thông báo và khu vực đấu giá, hãy tham khảo hình ảnh thông báo và bản đồ khu vực dưới đây.

Pháp lý và thủ tục tổ chức đấu giá: những điểm nhà đầu tư bắt buộc phải nắm
Trước khi tham gia đấu giá Q2/2026, nhà đầu tư cần hiểu rõ khung pháp lý và quy trình tổ chức. Các bước chính bao gồm:
- Thông báo đấu giá: Sở, UBND huyện hoặc đơn vị tổ chức công bố thông báo chi tiết về lô đất, diện tích, khung giá, thời gian, địa điểm nhận hồ sơ.
- Hồ sơ tham gia: giấy tờ cá nhân/tổ chức, cam kết, tiền đặt trước (tiền cọc), và các mẫu biểu theo yêu cầu.
- Khai giá và đấu giá: phương thức có thể là bỏ phiếu kín, trả giá lên, hoặc hình thức khác theo quy định.
- Ký hợp đồng và thanh toán: người trúng đấu giá ký hợp đồng mua quyền sử dụng đất và thực hiện nghĩa vụ tài chính theo tiến độ (đặt cọc, thanh toán phần còn lại).
- Chuyển nhượng và sang tên: sau khi hoàn tất nghĩa vụ tài chính, UBND xử lý và cấp giấy chứng nhận quyền sử dụng đất theo quy định.
Một số lưu ý pháp lý quan trọng:
- Kiểm tra rõ ràng nguồn gốc đất, diện tích sử dụng, quy hoạch chi tiết 1/500 hoặc quy hoạch sử dụng đất.
- Xác định khung giá đất công bố và khung khởi điểm đấu giá; khung giá không nhất thiết là giá giao dịch thực tế trên thị trường.
- Chuẩn bị năng lực tài chính: nhiều phiên đấu giá yêu cầu đặt cọc với tỷ lệ cao và thời hạn thanh toán ngắn.

Diễn giải Đông Anh khung giá 40tr/m²: Ý nghĩa và tác động
Cụm từ Đông Anh khung giá 40tr/m² phản ánh khung giá được cơ quan quản lý đưa ra làm cơ sở pháp lý để xác định giá khởi điểm trong phiên đấu giá. Điểm cần lưu ý:
- Khung giá 40 triệu đồng/m² là mức tham chiếu tối thiểu để tính giá khởi điểm hoặc căn cứ xác định tiền sử dụng đất; giá trúng đấu giá có thể cao hơn nhiều tùy vào thanh khoản thị trường và sức cạnh tranh.
- Khung giá do chính quyền địa phương công khai sẽ ảnh hưởng trực tiếp tới: giá khởi điểm, tiền đặt trước, mức đóng thuế và phí liên quan.
- Khi khung giá ở mức 40tr/m², nhà đầu tư cần đánh giá: khả năng tăng giá so với mức khung, chi phí hoàn thiện pháp lý, và chi phí chuyển đổi mục đích sử dụng (nếu có).
Ví dụ tính toán nhanh:
- Lô đất 50 m², nếu áp khung giá 40tr/m²: giá khởi điểm = 40,000,000 × 50 = 2,000,000,000 đồng.
- Lô đất 100 m²: giá khởi điểm = 4,000,000,000 đồng.
Khung giá này cần được xem xét cùng chi phí phụ phát sinh: lệ phí trước bạ, thuế thu nhập (trong trường hợp chuyển nhượng sau đó), chi phí san lấp, hạ tầng và phí đo đạc, cấp giấy. Do vậy, mức 40tr/m² không đồng nghĩa với lợi nhuận tự động — cần phân tích thêm về tiềm năng tăng giá và chi phí hoàn thiện.
Phân tích thị trường: yếu tố thúc đẩy và rủi ro cho phiên đấu giá Q2/2026
Yếu tố thúc đẩy:
- Hạ tầng kết nối: các công trình giao thông cấp vùng thường tạo lực kéo lớn cho giá đất tại Đông Anh.
- Cầu nối và hoàn thiện dịch vụ công cộng: trường học, cơ sở y tế, trung tâm thương mại làm tăng chất lượng cuộc sống.
- Lượng cầu lớn do dân số đô thị hoá và xu hướng dịch chuyển ra ngoại thành.
Rủi ro cần cân nhắc:
- Rủi ro pháp lý: tranh chấp đất đai, quy hoạch thay đổi, sai sót trong hồ sơ.
- Rủi ro thanh khoản: thời gian để tìm người mua tiếp theo có thể lâu hơn dự kiến, đặc biệt nếu mua lô đất có diện tích lớn hoặc vị trí kém nổi bật.
- Biến động lãi suất và chi phí tài chính: ảnh hưởng đến khả năng vay vốn và chi phí cơ hội.
- Rủi ro giá ảo: giá trúng đấu giá có thể bị đẩy lên do cạnh tranh nóng, gây rủi ro trong việc thanh toán phần còn lại.
Để giảm thiểu rủi ro, nhà đầu tư nên:
- Thực hiện thẩm định pháp lý kỹ lưỡng trước khi nộp hồ sơ.
- Chuẩn bị phương án tài chính vững chắc: vốn tự có, phương án vay ngân hàng, dự phòng thanh khoản.
- Xây dựng chiến lược thoát vốn (exit plan): bán lẻ, chia lô, xây dựng và cho thuê, hoặc tích trữ dài hạn.
Kế hoạch thẩm định trước phiên đấu giá Q2/2026: checklist chi tiết
Trước khi quyết định nộp hồ sơ, thực hiện kiểm tra theo checklist sau:
- Kiểm tra hồ sơ pháp lý lô đất: hiện trạng sử dụng, chủ quyền (nếu có), quyết định giao đất, giấy tờ liên quan.
- Kiểm tra quy hoạch: bản đồ 1/500, 1/2000, hạn mức sử dụng đất, chức năng sử dụng đất tương lai.
- Xác minh cơ quan tổ chức đấu giá và điều khoản thông báo: thời gian nhận hồ sơ, tiền đặt trước, hình thức đấu giá.
- Thẩm định thị trường: so sánh giá các lô tương đương xung quanh, tốc độ giao dịch, hạ tầng xung quanh.
- Tính toán tổng chi phí đầu tư: giá trúng đấu giá giả định, thuế, phí, chi phí hoàn thiện hạ tầng và chi phí phát sinh.
- Lập hồ sơ tài chính: đảm bảo có thể thanh toán tiền đặt cọc và số còn lại trong thời hạn quy định.
- Xác định chiến lược đấu: giá trần chấp nhận được, thời điểm xuống tiền, đội ngũ pháp lý/ tư vấn đi cùng.
Một thực hành tốt là kiểm tra hiện trạng thực địa nhiều lần, đo đạc góc lô, quan sát hạ tầng, và trao đổi trực tiếp với cán bộ tổ chức đấu giá để làm rõ mọi điểm còn mơ hồ.
Chiến lược đấu giá và thỏa thuận tài chính
Chiến lược đấu giá nên được lập dựa trên phân tích giá trị thực tế, mức chấp nhận rủi ro và năng lực tài chính. Một số chiến lược hiệu quả:
- Chiến lược giá trần (max-bid): xác định mức giá tối đa chấp nhận dựa trên dòng tiền và mục tiêu lợi nhuận.
- Chiến lược “bình tĩnh” (wait-and-see): cố gắng không bộc lộ quá sớm trong trường hợp đấu giá công khai để tránh đẩy giá.
- Mua theo nhóm: hợp tác với nhà đầu tư khác để chia sẻ chi phí và rủi ro, tuy nhiên cần ghi nhận ràng buộc pháp lý rõ ràng.
- Sử dụng tư vấn chuyên nghiệp: thuê thẩm định viên để đưa ra mức giá hợp lý dựa trên phân tích cash-flow và so sánh thị trường.
Tài chính:
- Chuẩn bị đầy đủ tiền đặt cọc (thường là tỷ lệ phần trăm giá khởi điểm hoặc theo quy định).
- Lên kế hoạch vay ngân hàng nếu cần: chủ động liên hệ ngân hàng để có thư cam kết cho vay, thời hạn giải ngân phù hợp với lịch thanh toán sau đấu giá.
- Dự phòng 5–10% chi phí phát sinh ngoài dự tính để tránh thiếu thanh khoản.
Phân tích tài chính — mô phỏng kịch bản lợi nhuận
Để minh hoạ, giả định kịch bản cho lô đất 100 m² với Đông Anh khung giá 40tr/m²:
- Giá khởi điểm = 40,000,000 × 100 = 4,000,000,000 VND.
- Giả sử giá trúng đấu giá cuối cùng = 50tr/m² → Giá trúng = 5,000,000,000 VND.
Chi phí bổ sung (ước tính): - Tiền đặt trước: 10% (500,000,000 VND) — hoàn trả hoặc trừ vào giá.
- Thuế/Phí/Chi phí hành chính: 1–3% (tùy trường hợp) → khoảng 50–150 triệu.
- Chi phí hoàn thiện hạ tầng, san lấp: 200–400 triệu.
- Chi phí chuyển mục đích/giấy tờ: 50–100 triệu.
Tổng chi phí ước tính (ngoài giá trúng): ~800 triệu VND.
Giá trị đầu tư:
- Tổng vốn đầu tư (giá trúng + chi phí) ≈ 5,800,000,000 VND.
- Nếu bán sau 1 năm với giá thị trường 65tr/m² → Giá bán = 6,500,000,000 VND.
- Lợi nhuận gộp ≈ 700,000,000 VND → tỷ suất lợi nhuận ≈ 12% trên vốn trong 1 năm (chưa trừ thuế TNDN/TTĐB nếu áp dụng).
Nhận xét: Kịch bản trên chỉ mang tính minh hoạ. Tỷ suất thực tế phụ thuộc vào biến động thị trường, chi phí tài chính và khung pháp lý. Đây cũng là lý do cần tính kịch bản thận trọng, đánh giá điểm hòa vốn và thiết lập giới hạn giá trúng tối đa.
Hướng dẫn chi tiết thủ tục sau khi trúng đấu giá
Khi trúng đấu giá, nhà đầu tư cần thực hiện các bước sau theo thời hạn quy định:
- Ký biên bản trúng đấu giá và thực hiện đặt cọc/đóng tiền bảo đảm phần còn lại theo tiến độ đã công bố.
- Nộp hồ sơ để cơ quan quản lý cấp giấy chứng nhận quyền sử dụng đất (sau khi hoàn thành nghĩa vụ tài chính).
- Nếu cần chuyển đổi mục đích sử dụng, thực hiện thủ tục điều chỉnh theo quy định (nộp hồ sơ, đóng tiền chuyển đổi).
- Đăng ký thế chấp nếu muốn vay ngân hàng bằng tài sản là quyền sử dụng đất (theo quy định ngân hàng).
- Lưu giữ đầy đủ hồ sơ giao dịch: biên bản đấu giá, giấy tờ đóng tiền, hợp đồng mua bán quyền sử dụng đất, quyết định giao đất, giấy chứng nhận.
Thời hạn thanh toán và các điều khoản có thể khác nhau giữa các phiên đấu giá. Vi phạm tiến độ thanh toán thường dẫn đến mất tiền đặt cọc và các chế tài khác.

Lợi thế đầu tư tại khu vực Đông Anh – cơ sở cho quyết định mua
Ưu thế đầu tư Thư Lâm/Đông Anh có thể kể đến:
- Vị trí chiến lược gần trung tâm thủ đô và các trục giao thông lớn.
- Mức khung giá ban đầu vẫn còn khoảng cách so với giá chuyển nhượng thực tế một số khu vực lân cận, tạo cơ hội gia tăng giá trị.
- Chính sách thúc đẩy phát triển địa phương, dự án hạ tầng thường được ưu tiên triển khai.
- Nhu cầu nhà ở gia tăng do di dân cơ học và dịch chuyển dân cư.
Tuy nhiên, cần cân nhắc đến quy mô thị trường, nguồn cung tương lai (cụ thể là các dự án bất động sản lớn), và chu kỳ điều chỉnh giá để đưa ra quyết định kịp thời.
Phân tích so sánh: Mua đấu giá vs mua qua giao dịch thị trường
Mua đấu giá:
- Ưu điểm: minh bạch, cạnh tranh, có thể mua được “đất sạch” từ Nhà nước; giá khởi điểm rõ ràng.
- Nhược điểm: yêu cầu tài chính mạnh, rủi ro giá bị đẩy lên do cạnh tranh, chi phí và thời hạn pháp lý thường nghiêm ngặt.
Mua qua giao dịch thị trường:
- Ưu điểm: linh hoạt thương lượng, thời gian giao dịch có thể linh hoạt hơn.
- Nhược điểm: rủi ro nguồn gốc, tranh chấp, thiếu minh bạch về quy hoạch; chi phí xử lý pháp lý có thể cao.
Lựa chọn giữa hai hình thức cần dựa vào khẩu vị rủi ro, năng lực tài chính và chiến lược đầu tư.
Kịch bản đầu tư: ngắn hạn (flipping) và dài hạn (hold) — nên chọn khi nào?
- Flipping (mua bán nhanh): phù hợp khi thị trường đang trong chu kỳ tăng nóng, nhà đầu tư có thể tìm lỗ hổng về giá và tiêu thụ nhanh. Rủi ro cao do biến động giá và chi phí giao dịch.
- Hold (nắm giữ dài hạn): phù hợp khi nhà đầu tư tập trung vào giá trị thực (vị trí, quy hoạch, lợi ích hạ tầng). Lợi nhuận có thể ổn định hơn nhưng cần kiên nhẫn vốn và khả năng chịu đựng chi phí cơ hội.
Quy tắc lựa chọn:
- Có vốn lớn, khả năng vay tốt và kiến thức thị trường: có thể tham gia flipping có kiểm soát.
- Mong muốn an toàn, không muốn mạo hiểm: thiên về hold, chú trọng thẩm định kỹ pháp lý và hạ tầng.

Quản trị rủi ro và kiểm soát đầu tư
Các công cụ quản trị rủi ro thiết thực:
- Đa dạng hoá danh mục: không đặt toàn bộ vốn vào một lô hay một khu vực.
- Giới hạn giá trần rõ ràng trước khi vào phiên đấu giá.
- Hợp đồng rõ ràng với đối tác đầu tư, cơ chế phân chia lợi nhuận, trách nhiệm pháp lý.
- Sử dụng dịch vụ tư vấn pháp lý và thẩm định độc lập.
- Kế hoạch dự phòng tài chính: dòng tiền, lựa chọn vay hoặc giảm quy mô lô.
Luôn ghi nhớ rằng, đấu giá là trường hợp cạnh tranh cao và có yếu tố tâm lý; quản trị tốt sẽ giảm thiểu tác động của quyết định cảm tính.
Lịch trình mẫu cho nhà đầu tư tham gia phiên đấu giá Q2/2026
Gợi ý timeline (tham khảo, có thể thay đổi theo thông báo chính thức):
- 6–8 tuần trước phiên: tìm hiểu thông báo, thẩm định pháp lý sơ bộ.
- 4–6 tuần trước phiên: hoàn tất thẩm định hiện trường, liên hệ ngân hàng, chuẩn bị hồ sơ.
- 2–3 tuần trước phiên: nộp hồ sơ tham gia, nộp tiền đặt cọc theo yêu cầu.
- Ngày đấu giá: tham gia đấu, nếu trúng ký biên bản, thanh toán theo tiến độ.
- 1–3 tháng sau: nộp hồ sơ để cấp giấy chứng nhận sau khi hoàn tất nghĩa vụ tài chính.
Kế hoạch này giúp kiểm soát tiến độ thanh toán và tránh rủi ro do thiếu vốn hoặc chuẩn bị hồ sơ sơ sài.
Các câu hỏi thường gặp (FAQ)
- Tiền đặt cọc khi tham gia đấu giá là bao nhiêu?
- Tùy thông báo, thường dao động 5–20% giá khởi điểm. Cần kiểm tra kỹ thông báo tổ chức đấu giá.
- Nếu trúng đấu giá mà không thanh toán kịp hạn thì sao?
- Có thể mất tiền đặt cọc và chịu chế tài theo thông báo; đôi khi bị cấm tham gia đấu giá tiếp theo trong một khoảng thời gian.
- Khung giá 40tr/m² có phải là giá cố định?
- Không, khung giá là mức tham chiếu để xác định giá khởi điểm; giá trúng có thể cao hơn.
- Có thể thế chấp quyền sử dụng đất ngay sau khi trúng đấu giá?
- Thông thường phải chờ cấp giấy chứng nhận trước khi thế chấp; nhưng có thể thỏa thuận giải pháp tài chính với ngân hàng. Cần trao đổi trực tiếp với từng ngân hàng.
- Phải kiểm tra gì để tránh tranh chấp sau mua?
- Hồ sơ pháp lý lô đất, nguồn gốc, quyết định giao đất, quy hoạch, hiện trạng sử dụng.
Kết luận và khuyến nghị chuyên môn
Phiên đấu giá Q2/2026 tại Thư Lâm là cơ hội quan trọng đối với nhà đầu tư muốn tiếp cận nguồn đất sạch, minh bạch và có tiềm năng tăng giá. Tuy nhiên, để biến cơ hội thành lợi nhuận thực tế, cần có sự chuẩn bị kỹ càng:
- Thực hiện thẩm định pháp lý và hiện trường nghiêm túc.
- Lập kế hoạch tài chính rõ ràng, xác định mức giá trần hợp lý.
- Sử dụng dịch vụ tư vấn pháp lý và thẩm định độc lập khi cần.
- Lên phương án quản trị rủi ro, dự phòng thanh khoản và lộ trình thoát vốn.
Nếu bạn đang cân nhắc tham gia đấu giá Q2/2026, hãy bắt đầu từ việc thu thập hồ sơ, kiểm tra khung giá (ví dụ Đông Anh khung giá 40tr/m²), và xây dựng chiến lược đấu giá có kỷ luật. Quyết định đầu tư hiệu quả đến từ sự kết hợp giữa kiến thức pháp lý, hiểu biết thị trường và kỷ luật tài chính.
Nếu cần tư vấn chi tiết hơn cho từng trường hợp cụ thể (tư vấn hồ sơ pháp lý, thẩm định giá, lập kế hoạch tài chính), nên liên hệ chuyên gia pháp lý hoặc thẩm định có kinh nghiệm để được hỗ trợ trực tiếp.
Chúc bạn chuẩn bị tốt và ra quyết định đầu tư sáng suốt tại phiên đấu giá Thư Lâm trong quý 2 năm 2026.

Pingback: Chung cư xanh LEED hạng A Thư Lâm - VinHomes-Land